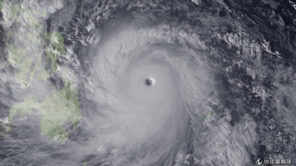
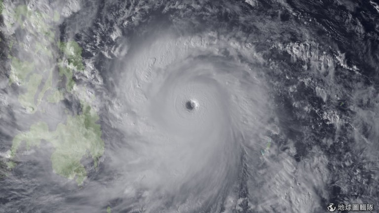
史上最強颱進逼菲律賓
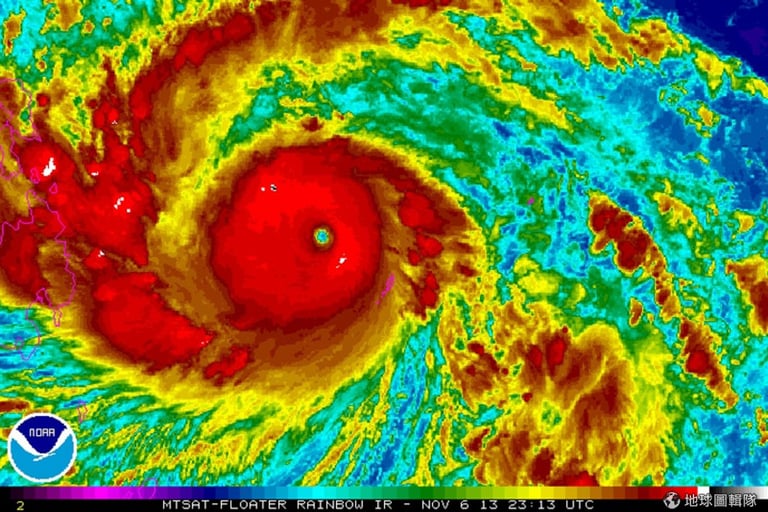
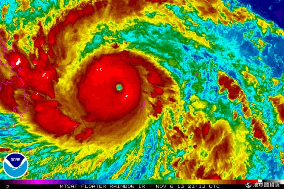
從台灣南方西進的海燕颱風,已經在菲律賓當地釀成土石坍方的災情。風速達到每小時235公里的海燕,也成為本年度世界最強的颱風。
BBC 7號報導,夾帶強勁風速達235公里的海燕颱風(Typhoon Haiyan),在今天凌晨進逼菲律賓東方的圭烏安(Guiuan)地區,在當地釀成土石崩塌等災情,菲律賓官方仍無法和當地民眾取得聯繫。
史上最嚴重
菲國其他地區,也正進行防颱準備,學校及公家機關都先停班課,中部地區的村落可見到大批民眾撤出家園。
研究颶風的氣象專家馬斯特(Jeff Masters)就擔憂海燕會在菲國釀成巨大災情,他表示「颱風的衝擊可能會是菲律賓史上最嚴重的一次」。
目前,海燕颱風繼續朝西行,由於颱風路徑也包含日前受大地震襲擊的薄荷島,對失去家園的5,000位居民來說,無疑是雪上加霜
菲國其他地區,也正進行防颱準備,學校及公家機關都先停班課,中部地區的村落可見到大批民眾撤出家園。
研究颶風的氣象專家馬斯特(Jeff Masters)就擔憂海燕會在菲國釀成巨大災情,他表示「颱風的衝擊可能會是菲律賓史上最嚴重的一次」。
目前,海燕颱風繼續朝西行,由於颱風路徑也包含日前受大地震襲擊的薄荷島,對失去家園的5,000位居民來說,無疑是雪上加霜
擔憂舊事重演
這次深具威力的海燕也讓氣象專家擔心會重蹈去年「寶發」(Bopha)颱風的覆轍,當時寶發颱風就在菲國釀成近1000人死亡、災損達10億元美金的慘劇
菲國氣象預報專家艾斯庫勒(Glaiza Escullar)接受訪問時,表示海燕颱風相當危險,因為它的移動路徑上沒有太多山區地形,風速不會減低太多的情況下,可能會讓海燕變得相當危險。
這次深具威力的海燕也讓氣象專家擔心會重蹈去年「寶發」(Bopha)颱風的覆轍,當時寶發颱風就在菲國釀成近1000人死亡、災損達10億元美金的慘劇
菲國氣象預報專家艾斯庫勒(Glaiza Escullar)接受訪問時,表示海燕颱風相當危險,因為它的移動路徑上沒有太多山區地形,風速不會減低太多的情況下,可能會讓海燕變得相當危險。
2012年底寶發颱風重創菲律賓,在當地帶來嚴重災損
許多寶發颱風受災的孩童們在街上拿著標語求助物資和食物
編註:對原文報導有興趣的朋友,請到 “Monster typhoon Haiyan roars into Philippines”
延伸閱讀:《無情洪流帶走生命 強颱寶發重創菲律賓》
《菲國大地震 宿霧島景點傳出災情》
編註:對原文報導有興趣的朋友,請到 “Monster typhoon Haiyan roars into Philippines”
延伸閱讀:《無情洪流帶走生命 強颱寶發重創菲律賓》
《菲國大地震 宿霧島景點傳出災情》
延伸閱讀
收起全部