地球圖輯隊

標籤 風災 的搜索結果

26
cover image

熱帶氣旋伊達重創莫三比克 總統:可能超過千人亡

印度洋 自然 災難 辛巴威 風災 氣旋 馬拉威 莫三比克 颱風 颶風 more
徽徽 2019-03-19 2021-04-06 bookmark_border
cover image

一月就有颱風? 輕颱「帕布」即將登陸泰國

自然 災難 風災 泰國 颱風 颶風 more
時時 2019-01-04 2021-04-06 bookmark_border
cover image

瓦拉卡颶風後,從地圖消失的夏威夷小島

全球暖化 自然 災難 風災 夏威夷 島 氣候變遷 颱風 環境 颶風 more
泥仔 2018-10-25 2021-04-06 bookmark_border
cover image

不平靜的周末 東亞迎來今年最強颱風「山竹」

中國 自然 災難 風災 香港 菲律賓 颱風 颶風 more
泥仔 2018-09-17 2021-04-06 bookmark_border
cover image

不可能是我? 談那些無視風災撤離警告的民眾心理

心理學 災難 風災 情緒 颱風 颶風 more
泥仔 2018-09-14 2021-04-06 bookmark_border
cover image

日本天災連連 「燕子」颱風剛走又換地震

日本 地震 自然 災難 風災 颱風 機場 颶風 more
時時 2018-09-06 2021-09-28 bookmark_border
cover image

長期累積問題一次爆發 跟颶風災情奮鬥的波多黎各

水災 自然 災難 波多黎各 美國 風災 停電 颱風 颶風 more
泥仔 2017-09-28 2021-07-23 bookmark_border
cover image

颶風馬修重創海地 霍亂疫情恐惡化

自然 災難 風災 海地 疾病 颱風 霍亂 聯合國 颶風 more
泥仔 2016-10-11 2021-08-17 bookmark_border
cover image

太平洋最慘天災 萬那杜多年發展遭「帕姆」氣旋摧毀

太平洋 自然 災難 風災 氣旋 萬那杜共和國 颱風 颶風 more
阿咖 2015-03-17 2021-04-06 bookmark_border
cover image

8000家庭破碎 菲國海燕風災滿周年

風災 海燕颱風 菲律賓 more
阿咖 2014-11-10 2018-12-24 bookmark_border
cover image

10年來最強氣旋釀禍 尼泊爾山難增至39死

山 山難 尼泊爾 自然 災難 風災 氣旋 雪崩 喜馬拉雅山 聖母峰 颱風 颶風 more
阿咖 2014-10-20 2021-04-06 bookmark_border
cover image

牆都倒了 哈德哈德颱風直撲印度

印度 自然 災難 風災 颱風 颶風 more
維多魚 2014-10-13 2021-04-06 bookmark_border
cover image

雷馬遜颱風橫掃菲律賓 居民:風大到連起重機都在轉

自然 災難 風災 菲律賓 颱風 颶風 more
維多魚 2014-07-17 2021-04-06 bookmark_border
cover image

低壓氣旋引風災 義國島嶼風情不再

水災 自然 災難 風災 氣旋 義大利 颱風 颶風 more
阿咖 2013-11-20 2021-07-23 bookmark_border
cover image

搜刮食物求生存 海燕風災重創人心

自然災害 風災 海燕颱風 菲律賓 more
阿咖 2013-11-12 2018-12-25 bookmark_border
cover image

如海嘯過後 海燕颱風重創菲律賓

自然 災難 風災 海燕颱風 菲律賓 颱風 颶風 more
阿咖 2013-11-11 2021-04-06 bookmark_border
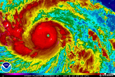
cover image

史上最強颱進逼菲律賓

風災 海燕颱風 菲律賓 颱風 more
阿咖 2013-11-08 2018-12-24 bookmark_border
cover image

巨型龍捲風摧毀美國小鎮

美國 風災 奧克拉荷馬 龍捲風 more
阿咖 2013-05-22 2018-12-24 bookmark_border
cover image

煎熬的90天 美國通過颶風救助法案

2012颶風珊迪 災難 法律 美國 風災 經濟 颱風 歐巴馬 颶風 more
阿咖 2013-01-31 2021-04-06 bookmark_border
cover image

冰風暴侵襲 美東災民重建家園遙遙無期

2012颶風珊迪 冬天 冰風暴 自然災害 美國 風災 more
阿咖 2012-11-08 2018-12-24 bookmark_border
1 / 2
下一頁

主導航欄

  • home 首頁
  • search 搜尋
  • subject 列表
  • explore 導覽
  • volunteer_activism 贊助
  • 夢境