如海嘯過後 海燕颱風重創菲律賓

阿咖
支持

上週掃過菲律賓中部地區的海燕颱風,由於風速過猛在當地掀起巨浪、並摧毀大量建築,目前官方僅能預估約有1萬人在風災中喪生,物資無法及時進駐的情況下,當地現在也不斷傳出商家遭洗劫的消息。

文章插圖
路透社

上周進逼菲律賓的海燕颱風(Typhoon Haiya),在菲國中部地區留下難以想像的災害光景,從海岸一路延伸到內陸1公里內,所有的房舍全數遭毀,乍看就像是剛被海嘯重創的景象。菲國內政部秘書長羅夏斯(Mar Roxas)就談到這次的風災影響甚鉅,許多地方只剩下碎石磚瓦,他們需要龐大的協助資源。

文章插圖
路透社

像是海嘯剛過一樣

「從直昇機看下去,你可以看到災害的程度非常的廣,從海岸往內陸1公里處,你完全看不到任何一棟完整的建築物。這就像是被海嘯席捲過一樣。」羅夏斯說。

文章插圖

畫面帶有裸露與血腥內容,請斟酌點閱。

繼續閱讀

居民將罹難者的遺體抬出災區

路透社
文章插圖

菲律賓中部地區颳起強風並降下豪雨

路透社
文章插圖

從濱海地區往內1公里處的屋舍幾乎全毀

路透社
文章插圖

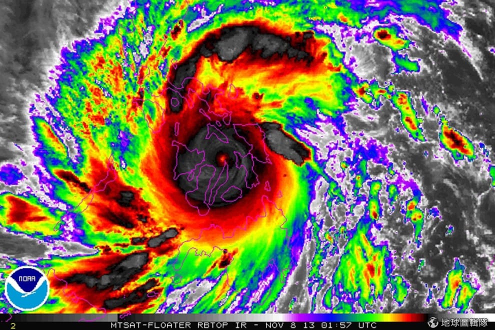
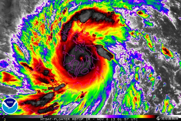
美國國家海洋和大氣管理局(NOAA)提供的照片中可以看到海燕颱風的結構札實

路透社
文章插圖

日本氣象局提供的照片中,可以清楚看到巨大的海燕颱風正席捲東南亞地區

路透社
文章插圖
路透社

請好心人幫助

菲國中部圭烏安(Guiuan)地區傳出土石流災情,民眾的家園遭毀、財物盡失。

當地一位婦人接受ABS-CBN電視台訪問時無助地表示:「我沒有房子、我沒有衣服。我不知道要怎麼開始我的生活......我不知道到底發生什麼事了。我們需要幫助。有好心腸的人,我請求你們幫幫圭烏安。」

目前,持續往西北方前進的海燕,儘管威力已經降低,但仍在越南知名的下龍灣一帶引起土石坍方的災情。

文章插圖

菲律賓的風災嚴重,各界開始提供人道救援協助;美國國防部提供直升機協助救災,歐洲聯盟委員會捐款300萬歐元、並提供人道救助專家,英國提供500萬英鎊的協助以及價值600萬英鎊的緊急裝備,而聯合國也協助帳篷、食物、以及災害物資的救助。

路透社
文章插圖
路透社

商家遭劫

不只物資缺乏,菲國也面臨維安人員不足的窘境,例如在獨魯萬(Tacloban)地區,當地出現商家遭劫的情況,民眾紛紛搶食物、電視機等。

獨魯萬市市長林(Tecson John Lim)就說:「商店和大型超市都出現搶劫的狀況,大家幾乎看到什麼就拿,連電視機也搬走。這些東西都會被拿去交換食物。我們沒有足夠的人力,我們大約有2000名員工,但只有100名人員進行工作,其他人都陪在家人身邊。」

文章插圖

在大雨中騎車玩水的小朋友們

路透社
文章插圖
路透社

憂飢餓互相殘殺

獨魯萬市區的情況危急,民眾更開始擔心自身安全,當地的高校教師波米達(Andrew Pomeda)就說:「獨魯萬完全被毀了,現在有的人因為飢餓或失去家人而發瘋,大家變得很暴力,他們為了找到食物、米還有牛奶,開始搶商店、劫超市,我怕不到一星期,這邊的人們會因為飢餓開始互相殘殺。」

文章插圖

地球圖輯隊

我們為您在DQ飛行船預留了VIP位子,期待您登船贊助DQ

延伸閱讀

收起全部

參考資料

展開更多